Bone cancer in dogs is serious and heartbreaking. If your dog has been diagnosed with bone cancer, it is essential to understand your options and the best way to keep them comfortable during treatment.
What Is Osteosarcoma?
Osteosarcoma is the most common type of bone cancer in dogs. Roughly 85% of bone tumors are osteosarcomas. It is an aggressive cancer that originates in bone cells and spreads to other parts of the body. Large breeds, such as Great Danes, Rottweilers, and German Shepherds, as well as senior dogs, are at a higher risk for osteosarcoma.
Other Types of Bone Tumors

While osteosarcoma is the most common, there are several other types of bone tumors. Chondrosarcomas originate in cartilage and are generally less aggressive. Fibrosarcomas start in the connective tissue near bones and tend not to spread. Synovial cell carcinomas begin in the joint and tend to spread into the bones of that particular joint.
Signs and Symptoms of Bone Cancer
As with most medical issues, the sooner it is diagnosed, the better the chance you have of recovery. One of the most common signs of bone cancer is lameness. Swelling or noticeable masses can also be common signs. If the tumor is near the jaw or on the head, you might notice difficulty in chewing or a lack of appetite.
For spinal tumors, some dogs will show neurological symptoms like seizures or changes in behavior. About 75-85% of osteosarcoma cases are associated with limbs. However, tumors can also develop in the jaw, spine, ribs, and pelvis. In addition to location-specific signs, dogs often exhibit signs of fatigue and a lack of interest in daily activities, such as walks or playing.
Bone Cancer Risk Factors
The cause of osteosarcoma is unknown, but several contributing factors increase the risk. Some believe that diets promoting rapid growth may contribute, especially in large breeds. Fractures, trauma, or previous surgeries can also increase the risk. Some studies have suggested a higher risk in spayed or neutered dogs. Large and Giant breeds are also at higher risk, likely due to the fast growth rate they experience as puppies.
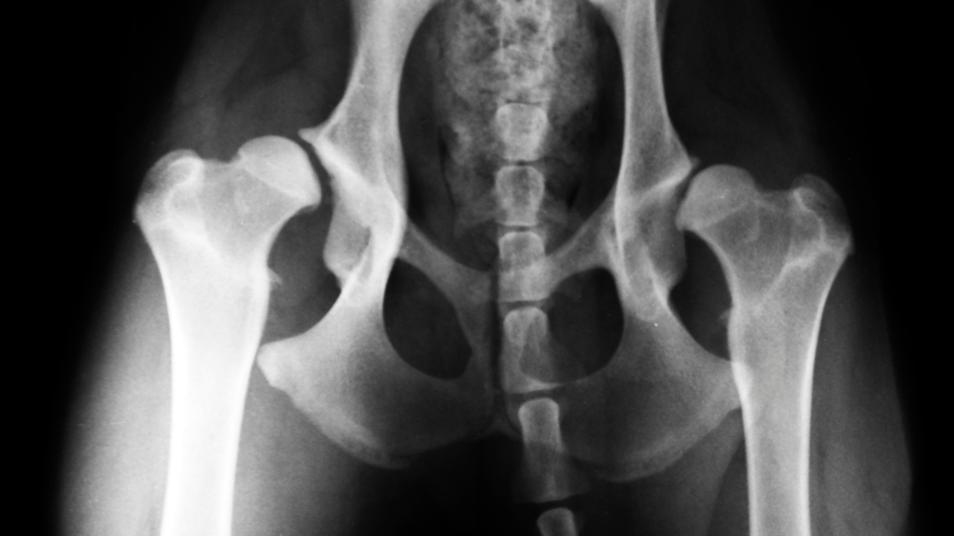
Diagnosis and Treatment
X-rays are needed to provide a diagnosis for bone cancer. If your vet detects abnormalities on the X-rays, they may also recommend a bone biopsy to check for cancerous cells. Once a diagnosis is made, several treatment options may be considered. Amputation of the limb is a standard option and can prevent the spread of cancer.
Chemotherapy is also used to target cancer cells. Radiation therapy can be helpful to reduce pain and control the tumor growth. While these treatments can extend your dog’s life, they do not offer a cure. Many pet owners choose to focus on keeping them comfortable during this time.
Supporting Your Dog's Comfort
To assist dogs affected by this debilitating disease, and above all to aid in pain management, Benefab Canine Comfort Shirt fabric emits far-infrared rays, keeping muscles, joints, tendons, and ligaments supple and relaxed. The shirt provides supportive compression for anxiety and comfort. It helps harmonize bodily functions safely and naturally, stimulating recovery time, promoting blood circulation, increasing oxygen flow, and ultimately reducing pain and stiffness. The material is also breathable with wicking qualities. Keep your dog comfortable and on the right track with our line of canine therapeutic products.